Pedostrangalia es un género de escarabajos longicornios de la tribu Lepturini.[1]

Especies

Referencias


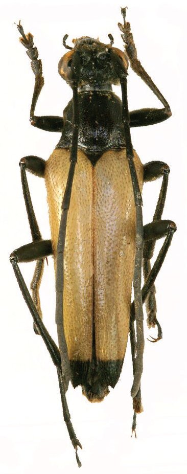
Pedostrangalia revestita

Cerambycidae Genus Thumbnails

Pedostrangalia pubescens BioQuipBugs

Pedostrangalia revestita

PEDOSTRANGALIA revestita